Huracán Lorena aumenta a categoría 1; lluvias intensas afectan el Valle de México
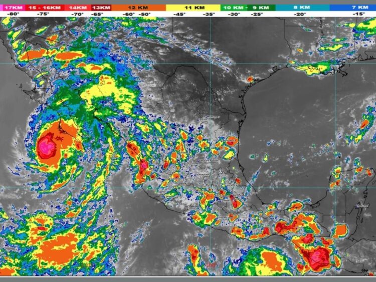
El huracán Lorena, ahora de categoría 1 en la escala Saffir-Simpson, continúa intensificándose paralelo a las costas de Baja California Sur. Su centro se localizó a 255 km al oeste de Cabo San Lucas, con vientos máximos sostenidos de 130 km/h y rachas de hasta 160 km/h, desplazándose hacia el noroeste a 24 km/h.
De acuerdo con el Servicio Meteorológico Nacional (SMN), los desprendimientos nubosos de Lorena provocarán lluvias torrenciales (150-250 mm) en el centro y sur de Baja California Sur, intensas (75-150 mm) en Sonora y Sinaloa, y muy fuertes (50-75 mm) en Baja California, Nayarit y Jalisco. Se esperan vientos de 70 a 90 km/h con rachas de 100-120 km/h en costas de Baja California Sur y oleaje de 4.5 a 5.5 metros.
El SMN, en coordinación con el Centro Nacional de Huracanes de Estados Unidos, estableció zonas de prevención y vigilancia por tormenta tropical, desde Todos Santos hasta Santa Fe, y desde Santa Rosalía hasta Bahía de los Ángeles. Se pronostican descargas eléctricas, granizo, encharcamientos, deslaves e inundaciones en zonas bajas de los estados mencionados.
⚠️ A las 3 am de hoy, #Lorena se intensificó a un #Huracán categoría 1 ⚠️
▪️Consulta solo fuentes oficiales
▪️Infórmate del pronóstico de trayectoria y evolución en @conagua_clima
▪️Fija objetos que puedan ser lanzados con el viento
▪️No arriesgues tu vida al intentar cruzar… pic.twitter.com/GEPlW4Brhx— Coordinación Nacional de Protección Civil (@CNPC_MX) September 3, 2025
Afectaciones en el Valle de México
En la CDMX, las zonas sur y poniente registraron lluvias fuertes entre las 16:00 horas del 3 de septiembre y las 02:00 horas del 4 de septiembre. La SGIRPC reportó encharcamientos, caída de ramas y afectaciones a la movilidad en alcaldías como:
- Benito Juárez: tormenta intensa a las 16:58 horas, acumulando 74.9 mm en 3 horas y 22 minutos, superando el récord histórico de septiembre (60.2 mm de 1955).
- Gustavo A. Madero: activación de Alerta Púrpura desde el 2 de septiembre.
- Todas las demarcaciones: bajo Alerta Amarilla por lluvias de 15 a 29 mm.
Se reportaron inundaciones en vialidades clave, incluyendo Circuito Interior, Calzada Zaragoza, Avenida Constituyentes, Avenida Central y Eje 2 Sur, con acumulaciones de hasta 40 cm.
En la Línea A del Metro, se suspendió temporalmente el servicio entre Guelatao y La Paz, afectando a miles de personas que tuvieron que caminar hasta la autopista México-Puebla o utilizar el Trolebús hacia Chalco.
| Zona / Alcaldía | Alerta / Impacto | Precipitación (mm) | Viento / Oleaje | Comentarios |
|---|---|---|---|---|
| Baja California Sur (centro y sur) | Prevención tormenta tropical | 150-250 mm (torrencial) | 70-90 km/h, rachas 100-120 km/h / 4.5-5.5 m | Desplazamiento noroeste, lluvias con descargas eléctricas y granizo |
| Sonora y Sinaloa | Prevención tormenta tropical | 75-150 mm (intensa) | 40-60 km/h / 2-3 m | Lluvias fuertes, posible encharcamiento y caída de árboles |
| Baja California, Nayarit y Jalisco | Prevención tormenta tropical | 50-75 mm (muy fuerte) | 40-60 km/h / 2-3 m | Riesgo de deslaves e inundaciones en zonas bajas |
| CDMX – Benito Juárez | Alerta Amarilla | 74.9 mm en 3 h 22 min | N/A | Supera récord histórico; afectaciones a movilidad |
| CDMX – Gustavo A. Madero | Alerta Púrpura | N/A | N/A | Condiciones críticas por lluvias intensas desde 2 de septiembre |
| CDMX – Otras alcaldías | Alerta Amarilla | 15-29 mm | N/A | Encharcamientos generalizados y afectaciones al transporte |
Recomendaciones ante el huracán Lorena
Se exhorta a la población a:
- Atender los avisos del SMN y seguir indicaciones de Protección Civil.
- Extremar precauciones ante vientos fuertes, oleaje elevado y descargas eléctricas.
- Evitar transitar por zonas inundadas y permanecer en espacios seguros hasta que cesen las lluvias intensas.
Lee: Lluvias provocan deslaves y caída de árboles en Toluca







