México alerta a sus ciudadanos en Irán: prohíben captar imágenes de operaciones militares
La Embajada de México en Irán emitió una alerta urgente para los connacionales ante la creciente tensión entre Teherán y ...
La Embajada de México en Irán emitió una alerta urgente para los connacionales ante la creciente tensión entre Teherán y ...
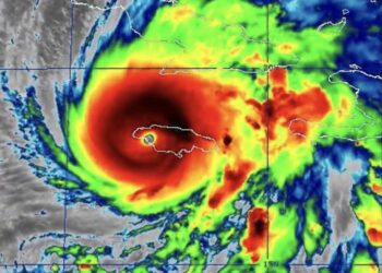
Ante los efectos del huracán Melissa se recomendó a los mexicanos residentes en Jamaica permanecer atentos a las indicaciones de ...
La aspirante presidencial por el PAN, PRI y PRD afirma que la esperanza ya cambió de manos
Instituto detecta 18 mil 572 posibles casos que pueden ser objeto de denuncia contra quien resulte responsable, ya que presentan ...