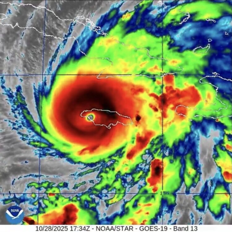
El huracán Melissa ingresó a Jamaica con categoría 5, por lo que se pidió a los mexicanos en ese país atender las recomendaciones de las autoridades locales.
La Secretaría de Relaciones Exteriores (SRE) emitió un aviso a las y los ciudadanos mexicanos que se encuentran en Jamaica ante los efectos del huracán Melissa, e informó que la Embajada de México en ese país mantiene habilitado el número de emergencia +1 (876) 832-8711 para atención y asistencia consular.
⚠️ AVISO IMPORTANTE ⚠️
Ante los efectos del huracán Melissa en Jamaica, la @SRE_mx recuerda el número de emergencia y atención consular de @EmbaMexJam para las y los mexicanos que se encuentran en ese país del Caribe.
☎️ +1 (876) 832-8711
Recomendamos extremar precauciones y…
— Relaciones Exteriores (@SRE_mx) October 28, 2025
«>
La cancillería exhortó a extremar precauciones y seguir las recomendaciones de las autoridades locales, así como permanecer atentos a las notificaciones sobre el avance del fenómeno meteorológico.
Además, la SRE difundió los números de emergencia de las representaciones mexicanas en otras naciones del Caribe ubicadas en la trayectoria prevista del huracán:
- Cuba: Embajada de México en La Habana — Marcación local: 5286 9620
- Haití: Embajada de México en Puerto Príncipe — Marcación local: 3849 0085
- República Dominicana: Embajada de México en Santo Domingo — Marcación local: 809 669 6501
Las embajadas se mantienen en contacto con las comunidades mexicanas residentes en esas naciones y reiteraron la importancia de que las y los connacionales se inscriban en el Sistema de Registro para Personas Mexicanas en el Exterior (SIRME), disponible en sirme.sre.gob.mx, para recibir asistencia oportuna en caso de emergencia.
Asimismo, la SRE destacó que continúa en comunicación permanente con sus representaciones diplomáticas para dar seguimiento al paso del huracán Melissa y refrendó su compromiso de proteger a las y los mexicanos en el exterior.







